Internacional
Huracán Dorian dejó 13.000 casas dañadas o destruidas tras su paso por Bahamas, afirma Cruz Roja
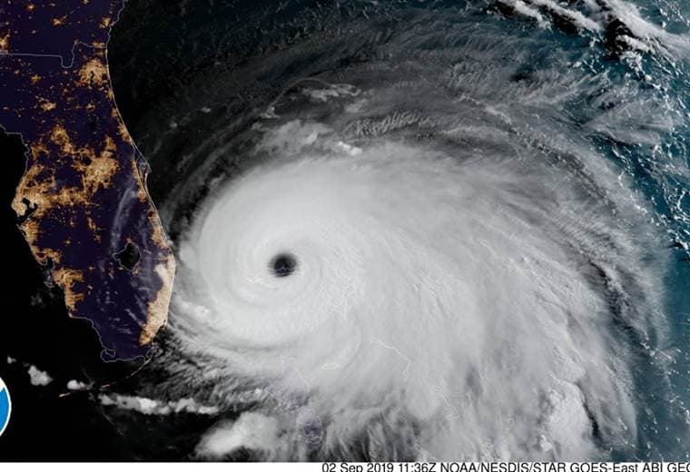
Dorian tocó tierra el domingo en el cayo Elbow de las islas Ábaco, en el noroeste de las Bahamas, siendo el huracán más poderoso en impactar el archipiélago

Unas 13.000 casas podrían haber sido dañadas o destruidas por el paso del huracán Dorian en Bahamas, cuyos vientos cercanos a los 300 km/h azotaban este archipiélago del Caribe, estimó la Cruz Roja este lunes.
"No tenemos aún una imagen completa de lo que pasó. Pero el huracán Dorian tuvo un impacto catastrófico", declaró Sune Bulow, jefe del Centro de Operaciones de Emergencia de la Federación Interacional de Socieades de la Cruz Roja y de la Media Luna Roja (FICR).
De categoría 5, Dorian tocó tierra el domingo en el cayo Elbow de las islas Ábaco, en el noroeste de las Bahamas, siendo el huracán más poderoso en impactar el archipiélago, de unas 700 islas.