Huracán Beryl: Isla de Tobago declara estado de emergencia y Dominicana está en alerta
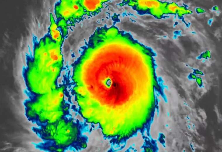
"Beryl es un huracán potencialmente mortal", indicó Shakeer Baig, director del Servicio Meteorológico de Trinidad y Tobago. El fenómeno podría tener vientos de 215 km/h.
La isla de Tobago del archipiélago Trinidad y Tobago fue declarada este domingo en estado de emergencia debido al paso del huracán Beryl por el Caribe, que ha provocado también niveles de alerta verde y amarilla en Dominicana.
"Esta isla de Tobago se encuentra en estado de emergencia", declaró el jefe del ejecutivo de la isla, Farley Augustine, en una declaración a la prensa. "Todas las escuelas públicas y privadas estarán cerradas mañana (lunes) y permanecerán así hasta nuevo aviso".
Tobago, una isla con espectaculares playas más pequeña que Trinidad, concentra la mayoría de los complejos turísticos del país.
"Beryl es un huracán potencialmente mortal", indicó Shakeer Baig, director del Servicio Meteorológico de Trinidad y Tobago. El fenómeno podría tener vientos de 215 km/h, añadió.
Augustine recomendó cargar los teléfonos porque "si un huracán de categoría 4 azota aquí, podemos quedarnos sin electricidad durante varias horas".
En República Dominicana, en tanto, las autoridades declararon en alerta amarilla a cinco provincias de la costa del sureste, y a otras cinco del suroeste en verde, entre ellas el Distrito Nacional y la capital Santo Domingo.
"A partir de mañana lunes deben permanecer en puerto (...) debido a la peligrosidad y el fuerte oleaje de este sistema tropical. Es importante que la población (...) no se descuide", indicó el presidente del Centro de Operaciones de Emergencias dominicano, mayor general Juan Manuel Méndez.
Beryl alcanzó el domingo la categoría 4, sinónimo de "extremadamente peligrosa", con vientos de más de 200 km/h que conllevan riesgos "potencialmente mortales" sobre las Antillas.
El calentamiento global está provocando que los fenómenos meteorológicos extremos, como los huracanes, sean más frecuentes y devastadores.

